El legado de los megadeslizamientos en la historia evolutiva y demográfica de la biodiversidad canaria de insectos
Un artículo de Víctor Noguerales y Brent Emerson
Las islas oceánicas, como las que forman el archipiélago canario, suelen verse sometidas a drásticos fenómenos geológicos que generan una rápida transformación de sus paisajes. Además de las llamativas erupciones volcánicas a cuyas imágenes estamos más acostumbrados, hay otro tipo de eventos geológicos con rápidas consecuencias en la fisionomía de estas islas: los deslizamientos. Consisten en corrimientos de masas de tierra que por su inestabilidad se desprenden y se deslizan sobre una ladera con impactos directos sobre la fauna y flora local como pueden ser la fragmentación de determinados hábitats o incluso la extinción de algunas especies, por citar algunos.
Durante décadas, los estudios llevados a cabo en islas oceánicas han servido para incrementar nuestro conocimiento acerca de los procesos de diferenciación genética entre poblaciones y generación de nuevas especies. Sin embargo, la literatura había otorgado tradicionalmente un gran peso al papel de los gradientes ecológicos (adaptación a diferentes condiciones ambientales locales) sobre los patrones de diversificación, en contraposición a aquellos procesos de aislamiento geográfico dentro de las islas, como los que podrían desencadenar eventos geológicos, como megadeslizamientos que produjeran nuevas barreras geográficas o cambios en la distribución y conectividad de los hábitats.
Durante el último millón de años, Tenerife ha sufrido numerosos megadeslizamientos cuyos límites y edades se encuentran bien documentados (imagen 1), dos aspectos que la convierten en un escenario único para estudiar las consecuencias evolutivas de estos fenómenos geológicos.
Imagen 1: Límites geográficos y edad en millones de años (Ma) de los principales megadeslizamientos presentes en la isla de Tenerife
De entre todos ellos destacan, por su vasta extensión y volumen de tierra, los ocurridos en los valles de La Orotava y Güímar, cuyo impacto sobre el paisaje tinerfeño aún puede apreciarse en forma de los abruptos escarpes que definen sus límites geográficos (imagen 2). Aunque existía evidencia del efecto de estos megadeslizamientos en la dispersión de especies de insectos entre distintas islas del archipiélago, su papel en la diferenciación genética de sus poblaciones dentro de la isla había recibido menos interés y sus consecuencias demográficas permanecían aún incomprendidas.

Imagen 2: Fotos en las se observan al fondo los escarpes que definen los límites geográficos de los principales megadeslizamientos estudiados
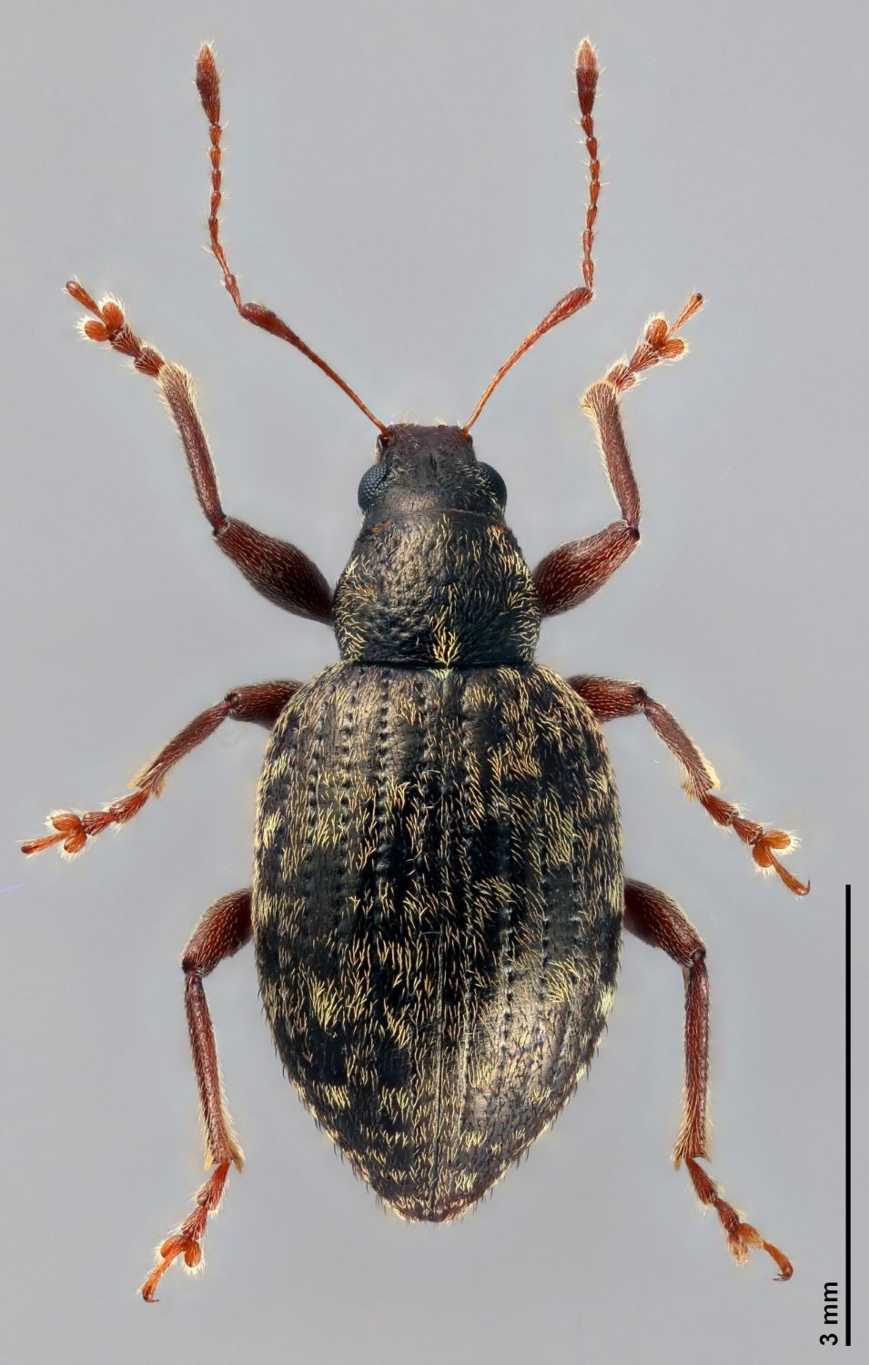
Empleando como modelo de estudio un complejo de especies de gorgojos del género Laparocerus (imagen 3), investigadores del IPNA-CSIC han desvelado como la topografía dejada por los megadeslizamientos de La Orotava y Güímar ha promovido una dinámica de aislamiento geográfico y contacto posterior de aquellas poblaciones que no se vieron afectadas por estos eventos y que persistieron en áreas geológicamente estables. Los hallazgos de este estudio, recientemente publicado en la revista Molecular Ecology, han sido posibles gracias al empleo de datos genómicos procedentes de secuenciación de ADN de alto rendimiento y su integración con herramientas de modelado demográfico. Estas herramientas permiten simular la trayectoria demográfica de las poblaciones bajo diferentes escenarios hipotéticos para después seleccionar estadísticamente el escenario cuyas simulaciones explican mejor los datos observados.
Imagen 3: Individuo perteneciente al complejo de especies Laparocerus tessellatus, capturado en El Pijaral (Anaga) | Autor: Antonio Machado
Mediante esta aproximación, los autores descubrieron que las poblaciones de gorgojos capturadas en las zonas geológicamente más estables (Teno, Anaga o sur de Tenerife) comenzaron a diferenciarse genéticamente de un ancestro común en un periodo de tiempo que coincidía con las edades estimadas de los megadeslizamientos de La Orotava y Güímar. También observaron que los individuos capturados en dichas áreas constituían grupos genéticos con un bajo grado de coancestría, y que a su vez tenían menor diversidad genética (imagen 4). Por el contrario, los individuos capturados dentro de los límites geográficos de los megadeslizamientos de La Orotava y Güímar presentaban mayor diversidad genética y sus genomas eran el resultado de la mezcla genética entre las poblaciones aledañas asentadas en áreas más estables.

Imagen 4: Los gráficos circulares muestran la localización geográfica de los individuos analizados y su grado de coancestria, representado por la porción ocupada de cada color. El tamaño de cada gráfico circular refleja la diversidad genética de dicho individuo
Los anteriores resultados señalan a las oscilaciones climáticas del Cuaternario como factor determinante de estos patrones de mezcla genética en una compleja topografía modelada por antiguos megadeslizamientos. Estos hallazgos proporcionan un marco conceptual para entender las consecuencias demográficas de las dinámicas geológicas en islas oceánicas y su papel en el origen de nueva variación genética a pequeñas escalas espaciales, a través de procesos de aislamiento de poblaciones y posterior mezcla genética entre las mismas.
Este trabajo fue financiado por el Ministerio de Ciencia, Innovacion e Universidades, a través de los proyectos CGL2013-42589-P, CGL2017-85718-P y PID2020-116788GB-I00, cuyo investigador principal es Brent Emerson. La labor de Víctor Noguerales fue financiada con un contrato postdoctoral Juan de la Cierva-Formación (JC2018-035611-I).